亲爱的读者们,你是否曾有过这样的体验:坐在家中,一杯热茶在手,电脑屏幕前,跟随台风的脚步,感受那狂风呼啸、暴雨倾盆的壮观景象?没错,今天我要和你分享的就是这样一个奇妙的世界——台风在线观看。

台风,这个听起来就让人心生敬畏的自然现象,每年都会在全球各地上演。而如今,随着互联网的普及,我们足不出户,就能在线观看台风的实时动态,仿佛身临其境。

首先,让我们来了解一下什么是台风。台风,又称热带气旋,是一种发生在热带海洋上的强烈风暴。它具有强大的破坏力,常常给沿海地区带来巨大的损失。而台风在线观看,就是通过互联网平台,实时捕捉台风的动态,让观众直观地感受到台风的威力。

那么,如何在线观看台风呢?以下是一些实用的方法:
1. 官方网站实时更新:许多气象部门都会在官方网站上发布台风的最新消息和实时路径。你只需登录相关网站,就能第一时间了解到台风的最新动态。
2. 社交媒体平台:如今,社交媒体已经成为人们获取信息的重要渠道。许多气象专家和机构会在微博、微信公众号等平台上发布台风预警和实时动态。
3. 在线视频平台:一些在线视频平台,如腾讯视频、爱奇艺等,会邀请气象专家进行直播,讲解台风的成因、影响以及应对措施。
4. 手机APP:市面上有许多专门提供气象服务的APP,如中国天气通、墨迹天气等,它们会实时更新台风信息,并提供路径图、风力等级等详细信息。
当然,观看台风并不是一件轻松的事情。以下是一些观看台风时需要注意的事项:
1. 保持冷静:台风来临时,情绪波动很大是很正常的。但我们要学会保持冷静,理性对待。
2. 关注官方信息:在观看台风时,一定要关注官方发布的消息,避免传播不实信息。
3. 做好防护措施:在台风来临前,要提前做好防护措施,确保自己和家人的安全。
那么,台风在线观看有哪些好处呢?
1. 提高防灾减灾意识:通过观看台风,我们可以更加直观地了解台风的破坏力,从而提高防灾减灾意识。
2. 丰富生活体验:对于喜欢大自然的人来说,观看台风是一种独特的体验。那种狂风呼啸、暴雨倾盆的场景,让人仿佛置身于大自然之中。
3. 了解气象知识:观看台风可以让我们更加了解气象知识,增长见识。
让我们一起来回顾一下台风在线观看的精彩瞬间。以下是一些令人难忘的台风场景:
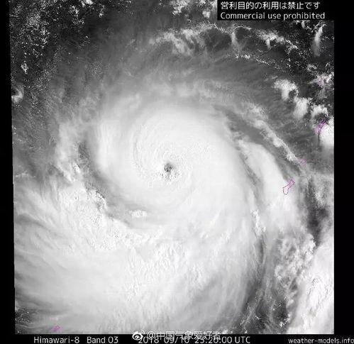
1. 台风“山竹”登陆:2018年,台风“山竹”登陆我国,其威力之大,让人惊叹不已。通过在线观看,我们仿佛亲身经历了那场狂风暴雨。
2. 台风“利奇马”过境:2019年,台风“利奇马”过境,给我国东部沿海地区带来了严重影响。在线观看台风,让我们更加深刻地感受到了自然灾害的威力。
3. 台风“巴蓬”登陆:2020年,台风“巴蓬”登陆我国,其路径和强度都备受关注。通过在线观看,我们见证了台风的威力。
亲爱的读者们,台风在线观看是一种独特的体验。在这个信息爆炸的时代,让我们充分利用互联网资源,了解自然、敬畏自然,共同应对自然灾害。希望这篇文章能给你带来一些启发和帮助。